В Ярославле ограничат парковку из-за зарядных станций для электромобилей

YarNews.net фото: Мэрия Ярославля Предупреждение для водителей выпустили в мэрии города.

YarNews.net фото: Мэрия Ярославля

Предупреждение для водителей выпустили в мэрии города.

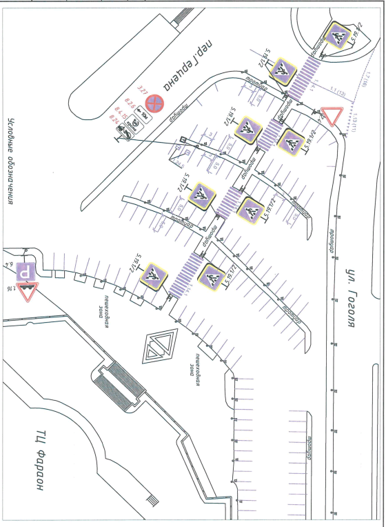
Изменения коснутся сразу двух участков дорог в Ярославле. Необходимо это как для размещения зарядных станций для электротранспорта, так и для обеспечения безопасности дорожного движения.

«…на парковочной площадке у ТЦ «Фараон», между ул. Гоголя и пер. Герцена, и на автомобильной дороге ул. Пушкина, на участке от ул. Победы до ул. Чайковского, с 14.02.2025 вводятся изменения в части установки дорожных знаков, в том числе ограничения остановки и стоянки транспортных средств», — пояснили в мэрии Ярославля.

Напомним, ранее власти уже вводили дополнительный запрет на парковку напротив «Ауры».


Последние новости

ТОП-10 советов по продлению срока службы частотных преобразователей

Практические рекомендации для надежной работы оборудования на долгие годы

В Ярославле дорожка на детской площадке ведет в пень

YarNews.net фото: ОНФ На проспекте Дзержинского. Эту историю опубликовали в телеграм-канале ярославского отделения ОНФ.

Программа «Комплексное развитие сельских территорий» помогает в решении проблем округа

В прошлом году переславская Детско-юношеская спортивная школа, давно требующая капитального ремонта, вошла в федеральную программу «Комплексное развитие сельских территорий».

Потребительский кредит без боли: как не стать жертвой долговой ямы

Как взять кредит с умом и не пожалеть об этом спустя пару месяцев

На этом сайте вы найдете актуальные вакансии в Крымске с предложениями работы от ведущих работодателей города

Комментарии (0)

Добавить комментарий

Ваш email не публикуется. Обязательные поля отмечены *